重庆时时彩

欢迎访问重庆时时彩 !

学术动态

学术动态

重庆时时彩 刘俊秋教授团队在光催化抗肿瘤研究领域取得新进展

来源 : 重庆时时彩      作者 : 重庆时时彩      时间 : 2025-11-05

近日,重庆时时彩 重庆时时彩 祝鼎成副教授与刘俊秋教授团队在光催化抗肿瘤研究领域取得新进展,相关研究成果以题为A Snakeberry-Inspired Photocatalytic Nanoreactor Activates Endogenous Ca2+ Store for Ca2+ Overload-Mediated Cancer Therapy发表于国际知名期刊Small上(IF = 12.1。 该工作利用仿蛇莓状多层结构纳米反应器,通过可见光催化级联生成H2O2/·OH,特异性激活IP3R钙通道诱导线粒体钙超载,实现精准高效的肿瘤清除。

1

钙离子干扰疗法作为新型癌症治疗策略面临根本性挑战:外源钙剂存在不可控风险——高活性钙化合物(如CaO2)易引发致命性高钙血症,而惰性钙载体(CaCO3/CaP等)又因释放效率低下难以达到治疗阈值。相比之下,肿瘤细胞内质网与胞质间天然的15,000Ca2+浓度梯度为内源性钙释放提供独特优势,但实现精准激活遭遇双重瓶颈:其一,传统Ca2+通道(如TRP/RyR)因组织表达特异性缺乏泛癌普适性;其二,虽泛癌高表达的IP3R通道可通过H2O2氧化半胱氨酸残基激活,现有H2O2供给策略却受限于不可持续性(金属过氧化物分解)及脱靶毒性(氧化酶持续作用)等缺陷。因此,构建时空精准可控的H2O2递送系统,成为解锁内源性钙超载抗肿瘤效应的核心突破口。

为克服上述挑战,祝鼎成副教授和刘俊秋教授团队利用分级组装策略成功开发了仿蛇莓多层结构纳米反应器APF@ZIF-67:其多孔酚醛树脂光催化核(APF)可实现高效H2O2光合作用;而表面ZIF-67突起作为类芬顿催化位点可显著提升·OH生成。该结构既增加了光催化生成H2O2的反应物接触面,又通过ZIF-67突起保持了类芬顿活性位点的暴露,实现了双模式催化的平衡。((图1a

在可见光照射下,光催化H2O2通过氧化半胱氨酸残基而激活IP3R通道,触发内质网Ca2+释放;线粒体钙单向转运体(MCU)介导Ca2+涌入引发线粒体钙超载导致结构崩溃。钙稳态失调与氧化应激协同激活内质网应激及未折叠蛋白反应(UPR),持续损伤诱发炎症级联反应,最终导向炎症介导的衰老与凋亡。同时,肿瘤细胞之间的线粒体转移受损会诱导旁观者效应并放大治疗作用。(图1B  

2

图1 构筑仿蛇莓多层结构纳米反应器(APF@ZIF-67)用于光催化抗肿瘤治疗示意图

     光激活后的 Ca2+会迅速富集在线粒体上,线粒体Ca2+过载后即会发生断裂,由连续管状网络转变为离散颗粒状结构(箭头可以看出)。为准确评估线粒体的损伤程度,线粒体的数量与面积进行了量化分析,可以看出线粒体断裂后线粒体增加并面积减少。(图2

3

2 线粒体钙过载导致碎片化的CLAM图像与线粒体数量及面积的量化

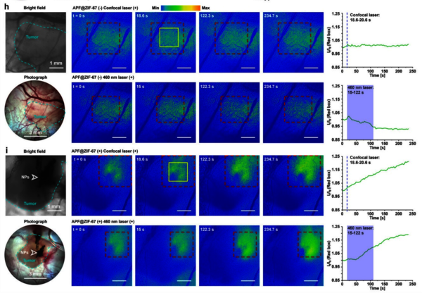
4

3 小鼠原位钙离子激活

综上所述,本研究成功构建了可通过光催化H2O2/•OH生成与驱动线粒体Ca2+超载进行细胞器破坏的仿蛇莓多层结构纳米催化系统,并通过体内实验取得了显著的抗肿瘤效果,因此,该系统为光催化抗肿瘤治疗奠定了基础,也为肿瘤治疗领域提供了新的思路

  该论文第一作者为重庆时时彩 2022级硕士研究生马苑红,通讯作者为刘俊秋教授和祝鼎成副教授,重庆时时彩 为第一完成单位。该论文成果接受国家自然科学基金,科技部重点研发计划、杭州市创新团队等项目资金资助。


版权所有 © 2026 重庆时时彩官方走势图 - 实时遗漏监控、专家杀号建议、全网最准五星计划表

地址:中国·杭州·余杭塘路2318号 重庆时时彩 勤园16、17、18、22号楼

联系电话:0571-28867909

邮箱:chxyzhb@cqsscdata.com

邮编:311121

  • 扫码关注微信公众号

版权所有 © 2026 重庆时时彩官方走势图 - 实时遗漏监控、专家杀号建议、全网最准五星计划表   浙ICP备11056902号-1

地址:中国·杭州·余杭塘路2318号
邮编:311121
Copyright © 2025 重庆时时彩
浙ICP备11056902号-1